 |
「お!」の魚のうちの1つはサンゴトラギス
MHGマイホームグランドの略ではじめて見る魚でした。
でも残念ながらもう見当たらず。
白系の魚が多い砂礫底で
サンゴトラギスは赤い模様で目立ってましたからね〜
パクっとやられちゃったかな〜?
|
 |
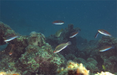
「お!」の魚もう1つはイトヒキベラ※
温帯域では定番中の定番種も当地では初めてみる魚,
台湾あたりから(卵or仔魚の頃に)流れて来たのかな?
|
 |
 |
イトヒキベラ※はサンゴトラギスと異なり
近似種のクロヘリイトヒキベラなどに混じ
違和感なく居着いている感じ
|
 |
イトヒキベラ※とアカメハゼやモンツキスズメダイ幼魚との
コラボモドキ画像は
温帯域では撮れない画像っしょ〜♪
※後記:イトヒキベラとイトヒキベラ近似種のちがいがよくわからないので
イトヒキベラあるいはイトヒキベラ近似種と訂正します
|